Weather Channel Storm Marco
The Weather Channel Marco Is Steadily Getting Closer To Making Landfall But The Risk Of Flash Flooding Threatens The Gulf Coast Through Tomorrow Our Live Coverage Has The Latest On
Rip Current Risks Increase As Tropical Storm Marco Approaches News Break
Texas Weather Tropical Storms Marco Storm Laura Paths Models Khou Com
Weather Channel Storm Marco のギャラリー
Hurricane Marco Forms In Gulf Of Mexico Tropical Storm Laura A Formidable Threat To U S Yale Climate Connections
The Weather Channel Marco Will Brush Cancun Beginning Tonight Then Is An Uncertain Threat For The Louisiana And Texas Coasts Next Week Our Latest Complete Forecast Briefing T Co 8vn2fmytny T Co Cnffmcamkd
Marco Will Approach The Gulf Coast With Heavy Rain Storm Surge On Monday The Weather Channel News Break
Hurricane Laura Weakens Over Louisiana After Category 4 Landfall Insider
Playa Del Carmen Mexico Weather Forecast And Conditions The Weather Channel Weather Com
Southeast Texas S Leading Local News Weather Traffic Sports And More Southeast Texas Texas 12newsnow Com 12newsnow Com
Tropical Storm Marco Intensifies As It Nears Cancun A Threat To Texas Louisiana Gulf Coast Next Week The Weather Channel Ebene Info
Archives Des Tropical Storm Marco Forms In The Northwestern Caribbean A Likely Texas Threat Next Week The Weather Channel Ebene Info
Tropical Storm Gonzalo Targets Windward Islands Saturday Bringing Gusty Winds And Heavy Rain The Weather Channel
Hurricane Irma Makes Second Florida Landfall At Marco Island Catastrophic Strike On Southwest Florida Underway The Weather Channel Florida Tornado Miami Key West Hurricane
Churches Evacuate Ahead Of Hurricane Laura S Unsurvivable Storm Surge Baptist Press
Hurricane Laura To Be Tropical Depression When It Reaches Tennessee
Two Tropical Storms Could Slam The U S At The Same Time Next Week Silive Com
30 Years Of The Weather Channel History Youtube
Hurricane Marco Continues Toward The The Weather Channel Facebook
Abbott Issues Disaster Declaration Tropical Storms Marco Laura Head For Gulf Coast Nbc 5 Dallas Fort Worth
Hurricane Marco Continues Toward The The Weather Channel Facebook
Tropical Storm Marco Downgraded To Tropical Depression
Hwyqj Agymqkqm
Tropical Storms Marco And Laura Latest Forecast And Tracks Biloxi Sun Herald
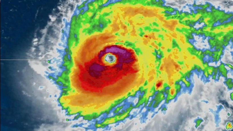
The Weather Channel Marco Is Very Close To Becoming A Hurricane As It Moves Over The Southeastern Gulf Of Mexico With Max Sustained Winds Of 70 Mph Hurricane Warnings Are
Forecasts Continue To Evolve For Hurricane Marco Tropical Storm Laura Houston Chronicle
Tropical Storm Marco Prompts Hurricane Warnings To Be Issued In Louisiana The Weather Channel News Break
Marco Enters The Gulf As Laura Lumbers Across Hispaniola Space City Weather
Laura And Marco Likely To Deliver Back To Back Landfalls On U S Gulf Coast Here S How Rare That Is The Weather Channel
Hurricane Marco And Tropical Storm Laura Track The Storms The Weather Channel
Petition Wants Tropical Storm Laura S Name Changed To Polo Wsbt
In The Bullseye Gulf Preps For Laura To Slam As Hurricane Wtop
Hurricane Laura Weakens Over Louisiana After Category 4 Landfall Insider
Jim Cantore Spotted In Nola As Marco Laura Approach Gulf
The Weather Channel Marco Now A Hurricane Has Sustained Wind Speeds Of 75 Mph And Is Making Its Way Towards The Gulf Coast We Are Live Throughout The Entire Night
Tracking The Tropics Marco Weakens To Tropical Storm As It Moves Over The Gulf Laura Continues To Strengthen Wfla
Marco And Laura Track The Storms The Weather Channel
We Re Live Tracking Hurricane Marco The Weather Channel
What Is The Fujiwhara Effect And Could It Happen In The Gulf Khou Com
Weather Channel Coverage Of Monster Hurricane Laura Youtube
Sunday Weather Xtreme A Tropical Twofer The Alabama Weather Blog Mobile
Petition Wants Tropical Storm Laura S Name Changed To Polo Wsbt
Laura Weakens Now A Tropical Storm
Yclvxsgdoy480m
Louisiana May See Impacts From Both Laura And Marco Videos From The Weather Channel Weather Com
Fox News The Weather Channel Were The 2 Most Watched Cable Nets Of The Week Tvnewser
Hear Live Hurricane Laura Tropical Storm Marco Updates On Siriusxm Hear Now
Sbd M41k3ybk5m
Hurricane Season Might Make History
35syjszshbdcsm
Marco Downgraded To Tropical Depression Laura Forecast To Become Hurricane On Tuesday
Tropical Storm Watch Still In Effect For Lower Florida Keys As Laura Move Over Cuba Marco Becomes Hurricane Nbc 6 South Florida
Hurricane Marco Tropical Storm Laura Live Updates Wwltv Com
Tropical Storm Marco Gov Abbott Holds Briefing On Response Wfaa Com
Tropical Storm Marco Is Weakening But Will Track Near The Northern Gulf Coast Into Tuesday Where It Will Bring Storm Surg In Storm Surge Rainfall Tropical Storm
Tropical Storms Laura Marco Storm Track Current Forecast Biloxi Sun Herald
Ubq25jlvtp3jlm
Tropical Storm Marco Forecast To Become A Hurricane West Of Cuba Hurricane Watches Issued In La Ms The Weather Channel In Tropical Storm Hurricane Watch Storm
Ax5qoeqtfsnkkm
Ixbzoujttfrwim
Wptv Speaks With The Weather Channel S Jim Cantore In Martin County Youtube
Tropical Storms Headed To The Gulf Of Mexico The New York Times
Tropical Storm Marco Forecast To Become A Hurricane Soon Hurricane Watches Issued In La Ms The Weather Channel News Break
Marco Loses Strength But Tropical Storm Laura Upgrades To Hurricane Louisiana Texas Issue Emergency Orders Thetrucker Com
Tropical Storm Laura Marco Path Hurricane Status Fujiwhara Effect
Update New This Hour The National The Weather Channel Facebook
Hurricane Watch Issued For New Orleans As Tropical Storm Marco Shifts East Toward Louisiana Hurricane Center Nola Com
Tropical Storm Marco Is Intensifying The Weather Channel Facebook
Tropical Storms Laura And Marco Track The Storms The Weather Channel Ebene Info
Tropical Update Tropical Storm Marco Weakening Laura Expected To Become A Cat 2 Hurricane Before Landfall
Tropical Storm Marco Prompts Hurricane Warnings To Be Issued In Louisiana The Weather Channel
Tropical Storm Marco Forms In The Caribbean
Tracking The Tropics Tropical Storms Laura And Marco Moving Toward The Gulf Of Mexico Wfla
Port Au Prince Haiti Weather Forecast And Conditions The Weather Channel Weather Com
List Of Evacuation Orders In Texas Louisiana Ahead Of Tropical Storms Laura And Marco The Weather Channel
Tracking Jim Cantore Meteorologist Reporting From Lake Charles La
Marco Weakens And May Still Bring Heavy Rain To Parts Of Gulf Coast Into Tuesday The Weather Channel
Technology Is Changing The Way The Weather Channel Covers Hurricanes Ncta The Internet Television Association
Hurricane Laura Wikipedia
Sbd M41k3ybk5m
Tracking Tropical Storms Marco And Laura Explaining What Fuels Tropical Storms Weather Wfmz Com
The Weather Channel We Have One Page To Track Both Td14 And Laura With Links To All Our Content To Keep You Up To Date T Co Wacrzywhz7 T Co Kgxqv8yymw
Damweather Hurricane Watches For Northern Gulf Coast Ahead Of Marco Laura Not Far Behind
Laura Weakens Now A Tropical Storm
Marco Downgraded To Tropical Storm Still Eyes Louisiana Coastline Laura Over Eastern Cuba
Hurricane Marco And Tropical Storm Laura Bear Down On Louisiana World News The Guardian
V Ybuxcsrobuim
Marco Weakens And May Still Bring Heavy Rain To Parts Of Gulf Coast Into Tuesday The Weather Channel
Storm Watch Marco Makes Landfall Laura Predicted To Be Category 2 Hurricane In Gulf Wrvo Public Media
Hurricane Marco Wikipedia
Tropical Storms Laura And Marco Track The Storms The Weather Channel
Louisiana Parish Issues Voluntary Evacuations Ahead Of Marco Laura The Weather Channel
Here S Why Hurricane Harvey Rapidly Intensified Into A Category 4 Monster The Weather Channel
The Weather Channel Tropical Storm Marco Will Bring Heavy Rain Gusty Winds To Parts Of The Gulf Coast Into Tonight T Co Iexcpiyrzn T Co 62eygyqr62
Tracks For Tropical Storm Marco Tropical Storm Laura Shift Away From Texas Houston Chronicle
Marco Strengthens To A Hurricane With Tropical Storm Laura Close Behind Cnn Video
Coastal News Today La The Last Major Hurricane Landfall In Louisiana Rita Was 15 Years Ago It S Been Forgotten By Some
Hurricane Watch For Yucatan Peninsula As Marco Takes Shape Yucatan Expat Life
Tropical Storm Marco Weakens As It Nears The Gulf Coast With Heavy Rain Gusty Winds The Weather Channel
Hurricane Center Us Facing Historic 2 Hurricane Landfalls At Nearly Same Time
Louisiana Targeted By Unprecedented Back To Back Threats As Marco Downgraded To A Tropical Storm Cnn


